Trilocale in Vendita a Roma, 270'000€, 70 m²

Locali: 3
Bagni: 1
Camere: 2
Piano: 1°
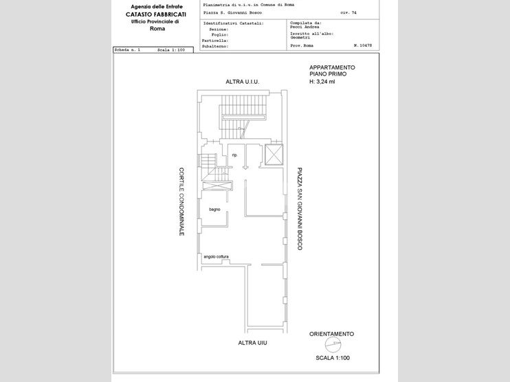
Don Bosco - Giulio Agricola Appartamento di 70 mq, perfettamente rifinito, situato al primo piano di uno stabile con ascensore e portineria, è ideale per chi cerca comfort, luminosità ed un ottimo investimento. Varcata la soglia, un ampio ingresso ti introduce immediatamente in un soggiorno luminoso, dominato da una zona cottura moderna e ben integrata: uno spazio perfetto per convivialità e relax. Proseguendo, due camere da letto, un bagno che si presenta curato nei materiali e funzionale, ed un pratico ripostiglio per la tua organizzazione quotidiana. L'appartamento vanta riscaldamento autonomo e aria condizionata, per un comfort controllato in ogni stagione. La vicinanza alla metro A (Giulio Agricola) lo rende estremamente comodo per ogni spostamento urbano, mentre il quartiere, ben servito, è vivace e ricco di negozi, verde e servizi, un'occasione nel cuore di Don Bosco. Attualmente è locato con un contratto 3+2 ad ? 1.050 al mese, con prima scadenza fissata per settembre 2026. Palazzina completamente ristrutturata e a norma delle nuove direttive europee. ? 270.000,00 Per maggiori dettagli e visite Tel 0677250699 "Le informazioni, misure e planimetrie sono meramente indicative e non costituiscono in alcun modo elementi contrattuali" Un'occasione nel cuore di Don Bosco: ben collegata, pronta e già a rendita ? 270.000,00 Per maggiori dettagli e visite Tel 0677250699 "Le informazioni, misure e planimetrie sono meramente indicative e non costituiscono in alcun modo elementi contrattuali"

Condizioni economiche

Contratto: Vendita
Prezzo: 270'000€
Spese condominiali: 75€

Informazioni principali

Tipologia: Trilocale
Città: Roma
Superficie: 70 m²
N° locali: 3
N° bagni: 1
N° Camere: 2
Piano:
Cucina: Abitabile

Efficenza energetica

Classe energetica: 2015-D
Ipe: 10.20 kwm2
Climatizzatore: Si
Anno di costruzione: 0
Riscaldamento: autonomo

Caratteristiche

Ascensore: Si

Dati inserzione

ID Offrocasa.com: 10936485
Data inserimento: 06/12/2025
Rif. Agenzia: S. GIOVANNI BOSCOVRG
Rif. Agenzia S. GIOVANNI BOSCOVRG

Grimaldi Immobiliare

Piazza Tuscolo 18 - Roma
06/77250699
Richiedi Info dal form:
Accetto l'Informativa Privacy


Condividi

Grimaldi Immobiliare

Piazza Tuscolo 18 - Roma

Trilocale in Vendita a Roma, 270'000€, 70 m²

Chiama
Contatta