Terreno agricolo in Vendita a Sammichele di Bari, 340'000€, 2400 m²

Piano: t
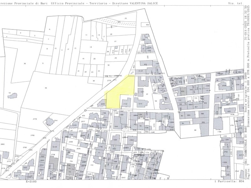
Sammichele di Bari, su strada principale a pochi passi dal centro, proponiamo terreno edificabile in zona B1 di circa mq 2400. Il tutto sviluppa una cunatura di circa 12000 metri cubi. FD Immobiliare Casamassima

Condizioni economiche

Contratto: Vendita
Prezzo: 340'000€
Arredato: No

Informazioni principali

Tipologia: Terreno agricolo
Città: Sammichele di Bari
Superficie: 2400 m²
Piano: t

Efficenza energetica

Classe energetica:
Anno di costruzione: 0

Dati inserzione

ID Offrocasa.com: 10910206
Data inserimento: 05/11/2025
Rif. Agenzia: 4925
Rif. Agenzia 4925

FD IMMOBILIARE

via Bari 70/D - Casamassima (BA)
080.8971429
Richiedi Info dal form:
Accetto l'Informativa Privacy


FD IMMOBILIARE

via Bari 70/D - Casamassima (BA)

Terreno agricolo in Vendita a Sammichele di Bari, 340'000€, 2400 m²

Chiama
Contatta