Bilocale in Vendita a Milano, 114'750€, 70 m²

Locali: 2
Bagni: 1
Camere: 2
Piano: 4
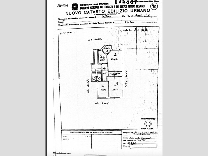
LOTTO UNICO - Piena proprietàUnità immobiliare sita in Comune di Milano (MI) via Flavio Andò n. 5, appartamento ad uso abitazione posto al piano quarto composto da tre locali oltre disimpegno, ripostiglio, angolo cottura e bagno. ------ Acquista tramite asta giudiziaria assistita dalla nostra agenzia immobiliare Safehouse Srl. La Società fornisce assistenza per tutto l'iter procedurale: * Ricerca immobile in base alle esigenze del cliente. * Visione dell'immobile. * Studio di fattibilità del mutuo mediante primari istituti bancari convenzionati. * Esame della perizia e della ulteriore documentazione relativa alla procedura esecutiva. * Indagine sull'attuale stato dell'immobile (manutentivo/occupazione). * Indice di convenienza all'acquisto e calcolo di tutte le imposte / spese accessorie, in aggiunta al prezzo di aggiudicazione. * Assistenza per la partecipazione in asta. * Ritiro del verbale di aggiudicazione, verifica e consegna del Decreto di Trasferimento. SAFEHOUSE sostiene e segue i propri clienti sia nell'acquisto di un immobile in asta, sia sull'estinzione dei debiti sul proprio immobile. Se hai un immobile pignorato siamo in grado di analizzare la tua posizione debitoria, offrendoti diverse possibilità per affrontare ogni singola procedura e individuare la soluzione migliore: - Valutazione della proprietà * Individuazione del valore di mercato * Analisi della posizione debitoria * Intervento diretto con i creditori * Definizione del saldo e stralcio di tutte le posizioni. Nessun costo sarà a carico del proprietario per tutte le fasi di analisi e trattative di stralcio. Per fissare una consulenza gratuita e non vincolante per avere informazioni sullo svolgimento dell'asta, sulle tempistiche, modalità ed i termini di incarico è possibile chiamare il numero 02.82959496 L'ESATTEZZA DEI DATI PUBBLICATI SARA' CONFERMATA IN SEDE DI CONSULENZA. Ulteriori foto e planimetrie disponibili relative all'immobile saranno consultabili previo vostro contatto.

Condizioni economiche

Contratto: Vendita
Prezzo: 114'750€
Arredato: Non arredato
Spese condominiali: 100€
Libero: Si

Informazioni principali

Tipologia: Bilocale
Città: Milano
Superficie: 70 m²
N° locali: 2
N° bagni: 1
N° Camere: 2
Piano: 4

Efficenza energetica

Classe energetica: G
Anno di costruzione: 1970
Condizioni stabile: Da restaurare

Caratteristiche

Ascensore: Si

Dati inserzione

ID Offrocasa.com: 10848995
Data inserimento: 03/08/2025
Rif. Agenzia: ASTA VIA FLAVIO ANDO' N. 5 MILANO (MI)
Rif. Agenzia ASTA VIA FLAVIO ANDO' N. 5 MILANO (MI)

Safehouse srl

VIA GIORGIO WASHINGTION 71 - Milano
335.7002195
Richiedi Info dal form:
Accetto l'Informativa Privacy


Condividi

Safehouse srl

VIA GIORGIO WASHINGTION 71 - Milano

Bilocale in Vendita a Milano, 114'750€, 70 m²

Chiama
Contatta