Capannone in Vendita a Ferrara, 199'000€, 500 m²

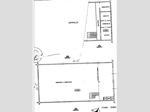
Capannone Vendita a Ferrara nord, zona Ferrara Center. ATTUALMENTE LOCATO AD OTTIMO REDDITO. In posizione di alto passaggio e vicino all'autostrada, circa 450 mq più ulteriori 50 di uffici e zona archivio. l'immobile è composto da 2 grandi porte a vetri che permettono di utilizzare l'entrata come esposzione e banco front-office. All'interno una grande vano unico con altezza interna di 7,9mt. Attraverso un scala interna, si raggiunge la zona uffici con archivio ripostiglio e spogliatoio. Uffici riscaldati e dotato di gas metano. Attualmente è stata realizzata una zona ufficio reception al piano terra. Potete contattarci senza impegno per maggiori informazioni o per prenotare un appuntamento per visionare questo Capannone Vendita a Ferrara nord, zona Ferrara Center. Cod. 2172. €. 199.000

Condizioni economiche

Contratto: Vendita
Prezzo: 199'000€

Informazioni principali

Tipologia: Capannone
Città: Ferrara
Superficie: 500 m²

Efficenza energetica

Classe energetica: F
Ipe: 62,16 kwh_m2
Condizioni stabile: Molto buono

Dati inserzione

ID Offrocasa.com: 10773142
Data inserimento: 16/06/2025
Rif. Agenzia: 2172
Rif. Agenzia 2172

PROGETTO CASA FERRARA

VIA SARACENO 44 - Ferrara
0532.212018
Richiedi Info dal form:
Accetto l'Informativa Privacy


PROGETTO CASA FERRARA

VIA SARACENO 44 - Ferrara

Capannone in Vendita a Ferrara, 199'000€, 500 m²

Chiama
Contatta