Bilocale in Vendita a Fossacesia, 79'950€, 40 m², arredato

Locali: 2
Bagni: 1
Camere: 1
Piano: Rialzato
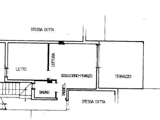
Rif.Ag. v412 Appartamento con una camera da letto a Fossacesia Marina (CH). A ridosso della meravigliosa Costa dei Trabocchi proponiamo delizioso appartamento di 40 mq così composto: ingresso su zona living, angolo cottura, camera da letto matrimoniale, bagno con doccia e una piccola cantina. La proprietà, immersa in una location fantastica dove poter godere di spiagge, acque incantevoli e dove poter ammirare le affascinanti palafitte sul mare, i Trabocchi, è impreziosita dalla presenza di un terrazzo di 16mq. L'immobile è ideale per chi desidera fare un investimento al mare, ottimo per essere goduto durante le vacanze e di interesse anche per gli affitti brevi vista la vicinanza alla spiaggia e alla ciclopedonale "Via Verde".

Condizioni economiche

Contratto: Vendita
Prezzo: 79'950€
Arredato: Si
Spese condominiali: 20€

Informazioni principali

Tipologia: Bilocale
Città: Fossacesia
Superficie: 40 m²
N° locali: 2
N° bagni: 1
N° Camere: 1
Piano: Rialzato
Cucina: Abitabile

Efficenza energetica

Classe energetica:
Anno di costruzione: 1989

Caratteristiche

Cantina: Si

Dati inserzione

ID Offrocasa.com: 10563493
Data inserimento: 08/10/2024
Rif. Agenzia: v412VRG
Rif. Agenzia v412VRG

Gabetti

Via Cesare Battisti, 22 - Lanciano (Chieti)
0872/221146
Richiedi Info dal form:
Accetto l'Informativa Privacy


Gabetti

Via Cesare Battisti, 22 - Lanciano (Chieti)

Bilocale in Vendita a Fossacesia, 79'950€, 40 m², arredato

Chiama
Contatta