Villa bifamiliare in Vendita a Alpignano, 790'000€, 95 m²

Locali: 3
Bagni: 1
Piano: Su più livelli
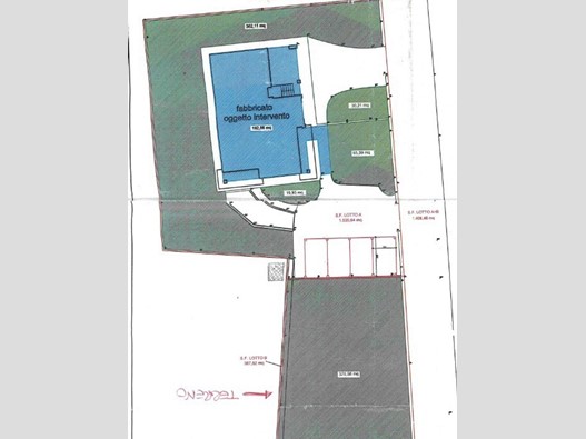
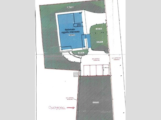
ALPIGNANO possibilita di villa trifamiliare nuova con tre appartamenti nuovi di 95 mq su terreno edificabile situato in una zona residenziale. Il lotto è comodo a tutti i servizi ed inserito in contesto residenziale e tranquillo, il che lo rende un'ottima soluzione per la costruzione di abitazioni. È possibile edificare una bifamigliare oppure con l'aggiunta di cubatura disponibile si puo edificare una trifamigliare. ? 140.000 il terreno per trifamigliare. Costo totale approssimativo con le tre unita abitatibe ? 790.000

Condizioni economiche

Contratto: Vendita
Prezzo: 790'000€

Informazioni principali

Tipologia: Villa bifamiliare
Città: Alpignano
Superficie: 95 m²
N° locali: 3
N° bagni: 1
Piano: Su più livelli

Efficenza energetica

Classe energetica: 2015-A1
Ipe: 20.00 kwm2
Climatizzatore: Si
Anno di costruzione: 0

Dati inserzione

ID Offrocasa.com: 10410485
Data inserimento: 17/03/2024
Rif. Agenzia: Cod. rif 2030VRG
Rif. Agenzia Cod. rif 2030VRG

Gabetti

piazza Leumann 4 - Pianezza (Torino)
011/9665785
Richiedi Info dal form:
Accetto l'Informativa Privacy


Gabetti

piazza Leumann 4 - Pianezza (Torino)

Villa bifamiliare in Vendita a Alpignano, 790'000€, 95 m²

Chiama
Contatta