Capannone in Vendita a San Miniato, zona San Donato, 5'000'000€, 2500 m²

Locali: 10+
Piano: su più livelli
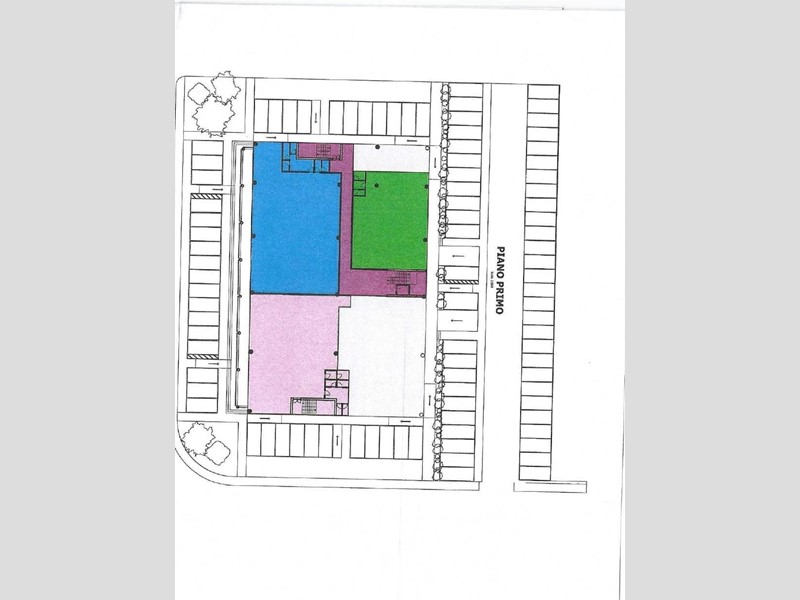
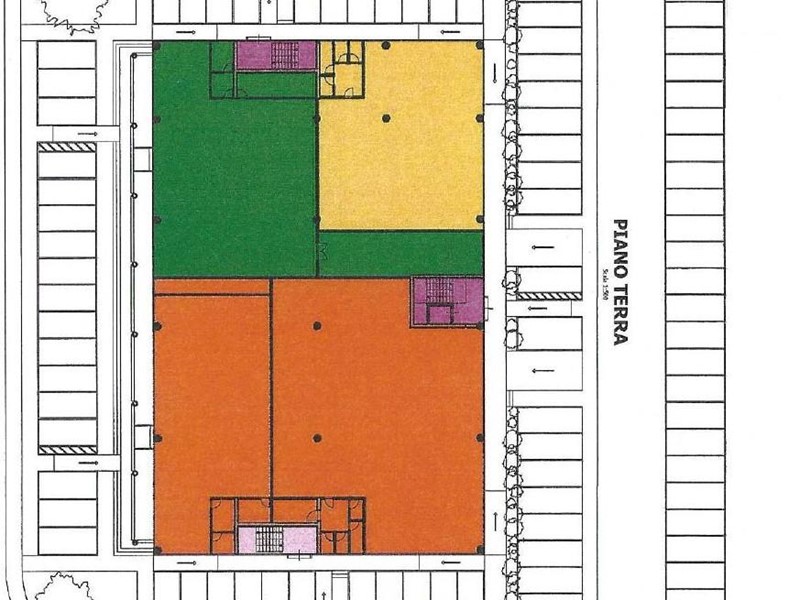
San Donato - San Miniato - Zona Interporto Direttamente all'uscita della FI-PI-LI e della Bretella del Cuoio, in centro logistico, direzionale e commerciale, prossima realizzazione di fabbricato ad uso commerciale e direzionale, di mq. 2.500 circa, disposto su due piani con ampia possibilità di parcheggio. L'immobile verrà realizzato tenendo conto di tutte le normative sul risparmio energetico. L'immobile è facilmente frazionabile in più unità tutte funzionalmente indipendenti. Il fabbricato è libero su quattro lati con possibilità di accesso sulle due strade principali. La zona è già molto attiva grazie alla presenza di molte attività di logistica già insediate e alcune attività direzionali. Prezzi ed informazioni in agenzia.

Condizioni economiche

Contratto: Vendita
Prezzo: 5'000'000€

Informazioni principali

Tipologia: Capannone
Città: San Miniato
Zona: San Donato
Superficie: 2500 m²
N° locali: 10+
Piano: su più livelli

Efficenza energetica

Classe energetica: A4
Ipe: 20,00 kwm2

Caratteristiche

Ascensore: si

Dati inserzione

ID Offrocasa.com: 10180016
Data inserimento: 18/07/2023
Rif. Agenzia: 1075987/390/Int/SC
Rif. Agenzia 1075987/390/Int/SC

ELLEMMECASA Santa Croce

Via Via Francesca Sud /7, 135 - Santa Croce sull'Arno (Pisa)
0571367568
Richiedi Info dal form:
Accetto l'Informativa Privacy


ELLEMMECASA Santa Croce

Via Via Francesca Sud /7, 135 - Santa Croce sull'Arno (Pisa)

Capannone in Vendita a San Miniato, zona San Donato, 5'000'000€, 2500 m²

Chiama
Contatta